The Council of the City of Yellowknife will hold PUBLIC HEARINGS at six o’clock in the evening (6:00 p.m.) on Wednesday, March 25, 2026, in City Hall Council Chamber to hear any submissions to By-law No. 5122, a by-law to amend Community Plan By-law No. 5007, as amended, and By-law No. 5123, a by-law to amend Zoning By-law No. 5045, as amended.
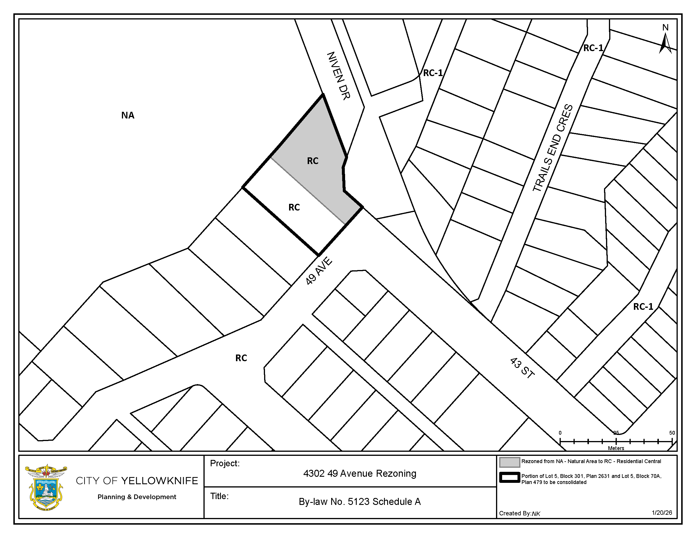
The purpose of these amendments is to re-designate and rezone a small portion of City-owned land for acquisition and consolidation with the adjacent lot (4302 49 Avenue) to develop an accessory storage shed for Jackpine Paddle.

Figure 1. Subject Property in red, adjacent to 4302 49 Avenue
Additional information and copies of By-law No. 5122 and By-law No. 5123 may be obtained from the Office of the City Clerk at City Hall or by phoning (867) 920-5646 or visiting www.yellowknife.ca/publicnotices.
Written submissions should be forwarded no later than 4:30 p.m. on Wednesday, March 18, 2026 to the City Clerk, Yellowknife City Hall, P.O. Box 580, Yellowknife, NT, X1A 2N4; e-mailed to ; or faxed to (867) 920-5649.
Written submissions filed for consideration at the Public Hearing may be inspected by the public, the Planning and Development Department, or the Office of the City Clerk at City Hall during regular office hours.
Any person wishing to make a verbal submission at the Public Hearing is asked to contact the Office of the City Clerk at (867) 920-5646 before 12:00 noon on Wednesday, March 25, 2026, and whether they will be speaking in favour or against the proposed by-law.
If a person is unable to attend the Public Hearing, they may authorize another person to attend and speak on their behalf. There are specific requirements for this authorization available on www.yellowknife.ca/publicnotices.
ATTENTION:
Residents are advised that Council cannot consider any oral or written submissions received after the Public Hearing on Wednesday, March 25, 2026, has been declared closed.
NOTE:
For more information about Public Hearing, please see Sections 38 to 46 of Council Procedure By-law No. 5119, as amended, or visit our website www.yellowknife.ca/publicnotices.




